Add to favorites In favorites
Activities in Parma

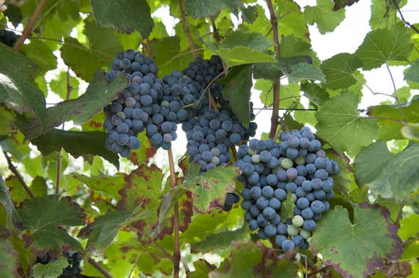
Lambrusco Winery Tour

Lambrusco is a signature product of Parma. On this tour, we'll discover all the secrets of this famous Italian wine and, What's more, we'll also sample its many varieties.

Lambrusco is a signature product of Parma. On this tour, we'll discover all the secrets of this famous Italian wine and, What's more, we'll also sample its many varieties.

Lambrusco Winery Tour 

At the designated time, we'll meet at Viale Paolo Borsellino and hop into a comfortable vehicle that'll take us to discover the vineyards of Parma. We'll admire the scenery in this area, located within the Emilia-Romagna region and is known worldwide for being home to one of Italy's most important wine-producing industries.

We'll walk through the vineyards of the hills of Parma, discovering the long history of Lambrusco, a grape variety used for making the wine of the same name. The guide will explain the unique characteristics of this grape variety used for centuries and acknowledged by the best sommeliers.

During the tour, we'll visit a winery where we'll learn about the winemaking process. We'll see how the grapevines, the grape pressing rooms or the oak barrels and casks where the wine matures quietly are prepared.

What's more, in order to really understand the subtleties of Lambrusco, we'll have the chance to sample it. We'll taste several varieties of this wine so that we can get to know the nuances of the various winemaking processes.

Lastly, we'll end the tour back at the starting point.

View complete description

More Information

Duration

3 hours.

Language The activity takes place with a guide that speaks in English.

The activity takes place with a guide that speaks in English.

Included

Transport by minibus or bus

Guide in English

Visit to a vineyard and a lambrusco cellar

White and red lambrusco tasting

When to book?

You can book up to the tour start time subject to availability. Book now to guarantee your spot.

Type of voucher

Electronic. Show the voucher on your phone.

Accessibility

Not wheelchair accessible.

Sustainability

All services published on Civitatis are carried out in accordance with our Sustainability Code.

Sustainability Code

Our providers commit to:

  • Provide a safe and satisfying experience.
  • Reduce, reuse, recycle.
  • Incorporate eco-conscious technologies.
  • Uphold fair employment standards.
  • Foster the growth of local communities.
  • Preserve the integrity of local culture.
  • Safeguard both cultural and environmental heritage.
  • Ensure ethical treatment of animals.
  • Operate with honesty and transparency.
  • Encourage sustainable behaviors among customers and staff.

This particular activity contributes as follows:

  • No printing of documentation required.

Pets

Not permitted.

Frequently asked questions

  • Q - Why do this activity with Civitatis?

    A - At Civitatis we guarantee the best quality and prices, click here if you want to know how we select our activities.

  • Q - How to book?

    A - To reserve the activity, choose the date and complete the form on this page. You will receive your confirmation immediately.

  • Q - Is a minimum number of participants required?

    A - This activity requires a minimum of 2 participants. Should this number not be reached, we'll get in touch with you to offer alternatives.

  • Q - Which local supplier will be providing the tour?

    A - My Tour - Italy Corporate name: MY TOUR - MY RENT S.R.L. Registered Office: VIA GENOVA 29 , CERTALDO, Italy Tax Identification Number (VAT ID): IT07368780487 Contact information Email: booking@mytours.it Phone: +39 800 289977 This supplier is commited to providing services in accordance with applicable European Union laws.

If you have any other questions please contact us.

Meeting point

Viale Paolo Borsellino

View map

Log in to rate the reviews of other travelers

Don't have an account? Register here